西太平洋盆地孕育了地球上不少超强台风,这次来的是超强台风鹦鹉。一个月前的超强台风黄蜂达到TOP 30最强风暴的强度,而昨天急剧加强的超强台风鹦鹉,可能很快就超过这个强度。
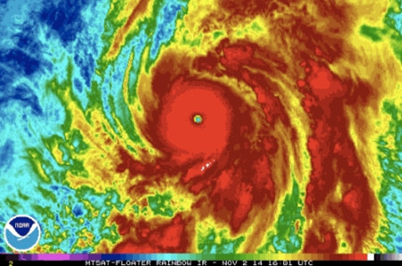
超强台风鹦鹉在离日本南部数百英里的开阔海洋生成,预计会转向东北方,移出海域登陆。基于卫星数据估计,台风鹦鹉现在最大持续风速为每小时180英里,甚至比台风黄蜂还要强。
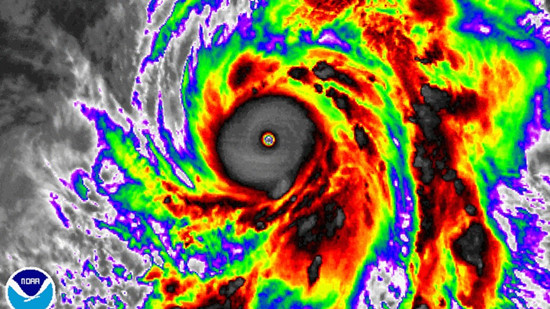
超强台风鹦鹉的卫星图像显示,风暴是在雷暴区围绕15英里宽、针孔般的风眼形成的。这个风暴从11月1日到11月2日迅速加强,原本等级为二级飓风,而据美国军事联合台风警报中心公告,现在已经是五级飓风。
该中心是由美国空军和海军联合运行的,通常在风暴加强和官方公告之间会有时间差。最近的一次公告,是在美国东部时间11月2日下午5点30分(北京时间今晨6点30分),联合台风警报中心正式将风暴的强度升级为最强持续风速(180英里/时)。据预测其强度还会增加,风速将会在明天达到每小时195英里。该中心的气象学家称,这种强度是“与记录相匹配的”。
如果台风鹦鹉的风速达到每小时195英里,那是极具威力的。2013年的超强台风海燕持续风速达每小时190英里,几乎摧毁了菲律宾的塔克洛班市,还带来了大范围的风暴潮。
充足温暖的海水,再加上促成风暴加强的大气条件(例如大气上层的微风),让台风鹦鹉得以增长式爆发。
这个风暴可能使日本免受本季的第三次台风直接袭击,但可能在未来两周对美国和加拿大的天气有影响。进入北太平洋的台风,会转变成一个大的非热带风暴系统,会影响数千英里下的喷流。
西太平洋地区在本季已经孕育了5个超强台风,部分原因是部分区域过高的海平面温度。相比之下,大西洋的飓风季节已经过去了,除了飓风贡萨洛,这个飓风加强到四级飓风,在10月18日席卷百慕大后减弱为二级飓风。
喷流就相当于快速移动的空气在喷气客机高度的高速公路,可以引导天气系统从西向东横跨整个北半球。而像超强台风鹦鹉这样的风暴,可能会导致沿线的气流骤降或波动。这可能会在初秋到冬天给美国大陆带来重大风暴和强烈的冷空气。


评论