10月9日,据贵阳市自然资源和规划局消息,金科·集美阳光项目进行方案调整及行政审批批前公示,金科·集美阳具体调整方案曝光!
据悉,金科·集美阳光项目位于花溪区贵筑社区云上村,该项目以花园洋房、阔景高层两大建筑形态为主,具有独特的园林设计风格,是金科三大全新产品之集美系,是2018贵阳金科的首发诚意之作。
据公示,金科·集美阳光对以下项目参数进行了调整。

除此之外,金科·集美阳光项目还优化配套布局,将10号公寓楼一层配套及商业面积和布局进行优化,消防控制室由原80.08平米优化为28.34平米,文化活动室由50.22平米增加为51平米,社区图书室由56.19平米增加至57.28平米,新增物业管理用房49.87平米。
(调整后公寓单体效果图)
(调整后鸟瞰图)
不仅如此,补全原缺失图纸也是调整的内容之一。补全图纸的内容为将已审批的9号楼原单体图纸中缺失第四、八层图纸(但在图层规整时已计算第四、八层面积),此次调整将图层命名由“五至七层”调整为“四至八层”,建筑总面积不变。

(原审批总图)
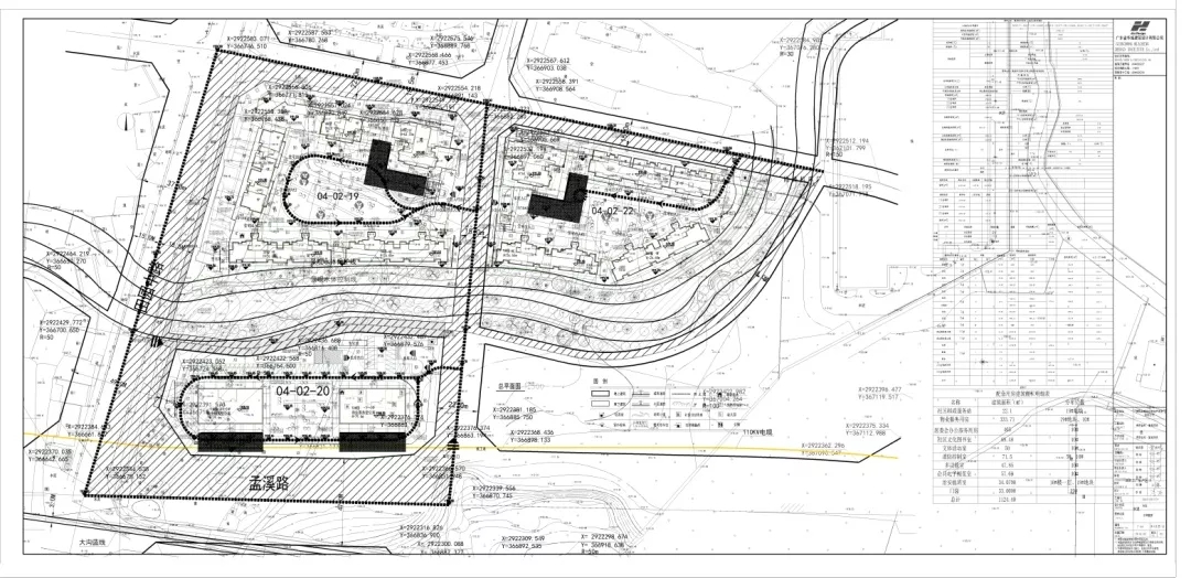
(调整后总图)
优化无障碍设施也是该项目的重要调整举措,具体调整内容为将6号楼首层为保证残疾人坡道舒适性,将入户大堂位置进行局部微调。
为了提高安全性能,该项目优化了女儿墙高度,打算将10号、11号楼公寓女儿墙由6米降低至3米,虽减少建筑高度,但调整后未改变总图布局和建设面积。
此外,调整的内容还包括结合以上单体调整内容,完善总平面图和五号楼5-F交5-8轴书房窗户朝向进行调整,该书房原开窗位置与北侧户型形成对视,以及将19号地块负一层原策划库房变更为商铺。


评论