10月30日,据贵阳市自然资源和规划局消息,发布了花果园D区海豚广场项目的行政审批批前公示,花果园海豚广场新调整正式曝光。

据文件显示,海豚广场是花果园彭家湾危旧区、棚户区改造项目D区双子塔项目中的一部分,项目位于贵阳市南明区彭家湾;总建筑面积:849760.28平方米,其中,计容建筑面积为566222.1 平方米,不计容面积为283538.18平方米,建筑层数为地下6层,地上71层。

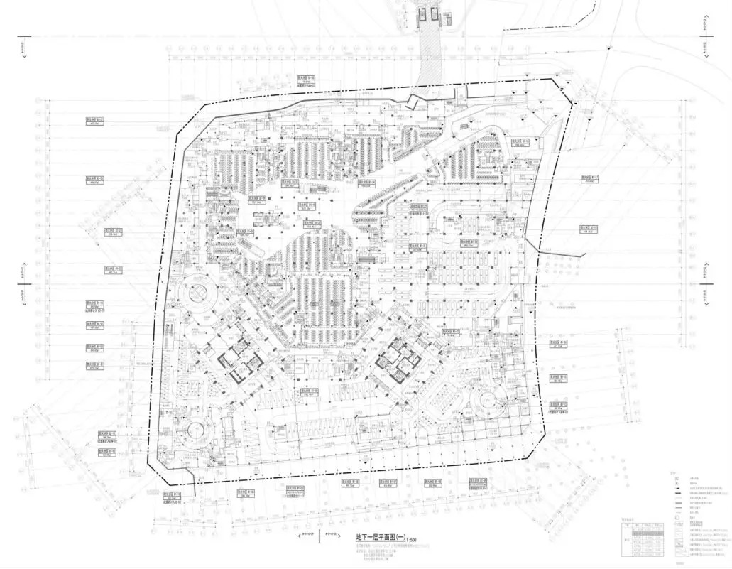
此次调整只针对该项目地下室裙房负一层至七层进行调整,此次调整不涉及建筑性质及面积变化,仅对商铺进行重新分割,局部功能用房细化,该项目2018年11月21日取得《建设工程规划许可证》(筑规建字2014-089号)。

海豚广场是宏立城集团历时6年打造、建筑面积为32万平方米的商业项目,也是花果园五大商业项目之一。它与花果园335米地标双子塔联为一体,其外形酷似一只跃出水面的海豚;其定位为贵阳首家体验型社交生活中心,集购物、餐饮、休闲、娱乐、服务五大功能于一体。



评论