老旧小区加装电梯是民生工程,也是民心工程。近年来,宝山区一直在积极推进既有住宅加装电梯,取得积极成效。近日,宝山区高境镇共和四村37号、共和八村4号等14处多层住宅将加装电梯,目前设计方案正在公示中,为宝山“加梯”开启加速度。详见↓

01
共和四村37号多层住宅
加装电梯项目设计方案

公示网站:宝山区政府门户网站
公示现场地点:共和四村公示栏
公示期限:2022年10月27日至2022年11月5日
反馈意见截止期:2022年11月12日
意见反馈途径
上海市宝山区高境镇人民政府
电子邮箱:gjgs2022@126. com (邮件名称、主题中应标明公示名称)
建设单位情况咨询
信函方式∶上海市宝山区岭南家园业主委员会
通讯方式∶上海市宝山区共和八村74号三楼
邮编∶200439
电子邮箱:jcmsh@126.com
联系电话∶66838035
设计项目情况咨询
信函方式:上海为众市政建设咨询服务中心
电子邮箱∶1240484051@qq.com
联系电话∶021-62455939
02
共和八村4号多层住宅
加装电梯项目设计方案

公示网站:宝山区政府门户网站
公示现场地点:共和八村公示栏
公示期限:2022年10月27日至2022年11月5日
反馈意见截止期:2022年11月12日
意见反馈途径
上海市宝山区高境镇人民政府
电子邮箱:gjgs2022@126. com (邮件名称、主题中应标明公示名称)
建设单位情况咨询
信函方式∶上海市宝山区共和八村业主委员会
通讯方式∶上海市宝山区共和八村74号103室
邮编∶200439
联系电话∶021-66838035
代建单位情况咨询
上海亲易实业集团有限公司
信函方式∶上海市浦东新区沪南公路3688号
邮编∶201318
联系电话∶021-68189695
03
共和八村6号多层住宅
加装电梯项目设计方案

公示网站:宝山区政府门户网站
公示现场地点:共和八村公示栏
公示期限:2022年10月27日至2022年11月5日
反馈意见截止期:2022年11月12日
意见反馈途径
上海市宝山区高境镇人民政府
电子邮箱:gjgs2022@126. com (邮件名称、主题中应标明公示名称)
建设单位情况咨询
信函方式∶上海市宝山区共和八村业主委员会
通讯方式∶上海市宝山区共和八村74号103室
邮编∶200439
联系电话∶021-66838035
代建单位情况咨询
上海亲易实业集团有限公司
信函方式∶上海市浦东新区沪南公路3688号
邮编∶201318
联系电话∶021-68189695
04
共和八村8号多层住宅
加装电梯项目设计方案

公示网站:宝山区政府门户网站
公示现场地点:共和八村公示栏
公示期限:2022年10月27日至2022年11月5日
反馈意见截止期:2022年11月12日
意见反馈途径
上海市宝山区高境镇人民政府
电子邮箱:gjgs2022@126. com (邮件名称、主题中应标明公示名称)
建设单位情况咨询
信函方式:上海市宝山区共和八村业主委员会
通讯方式:上海市宝山区共和八村74号103室
邮编:200439
联系电话:021-66838035
代建单位情况咨询
上海亲易实业集团有限公司
信函方式:上海市浦东新区沪南公路3688号
邮编:201318
联系电话:021-68189695
05
共和八村9号多层住宅
加装电梯项目设计方案

公示网站:宝山区政府门户网站
公示现场地点:共和八村公示栏
公示期限:2022年10月27日至2022年11月5日
反馈意见截止期:2022年11月12日
意见反馈途径
上海市宝山区高境镇人民政府
电子邮箱:gjgs2022@126. com (邮件名称、主题中应标明公示名称)
建设单位情况咨询
信函方式:上海市宝山区共和八村业主委员会
通讯方式:上海市宝山区共和八村74号103室
邮编:200439
联系电话:021-66838035
代建单位情况咨询
上海亲易实业集团有限公司
信函方式:上海市浦东新区沪南公路3688号
邮编:201318
联系电话:021-68189695
06
共和八村20号多层住宅
加装电梯项目设计方案

公示网站:宝山区政府门户网站
公示现场地点:共和八村公示栏
公示期限:2022年10月27日至2022年11月5日
反馈意见截止期:2022年11月12日
意见反馈途径
上海市宝山区高境镇人民政府
电子邮箱:gjgs2022@126. com (邮件名称、主题中应标明公示名称)
建设单位情况咨询
信函方式:上海市宝山区共和八村业主委员会
通讯方式:上海市宝山区共和八村74号103室
邮编:200439
联系电话:021-66838035
代建单位情况咨询
上海亲易实业集团有限公司
信函方式:上海市浦东新区沪南公路3688号
邮编:201318
联系电话:021-68189695
07
共和八村56号多层住宅
加装电梯项目设计方案

公示网站:宝山区政府门户网站
公示现场地点:共和八村公示栏
公示期限:2022年10月27日至2022年11月5日
反馈意见截止期:2022年11月12日
意见反馈途径
上海市宝山区高境镇人民政府
电子邮箱:gjgs2022@126. com (邮件名称、主题中应标明公示名称)
建设单位情况咨询
信函方式:上海市宝山区共和八村业主委员会
通讯方式:上海市宝山区共和八村74号103室
邮编:200439
联系电话:021-66838035
代建单位情况咨询
上海亲易实业集团有限公司
信函方式:上海市浦东新区沪南公路3688号
邮编:201318
联系电话:021-68189695
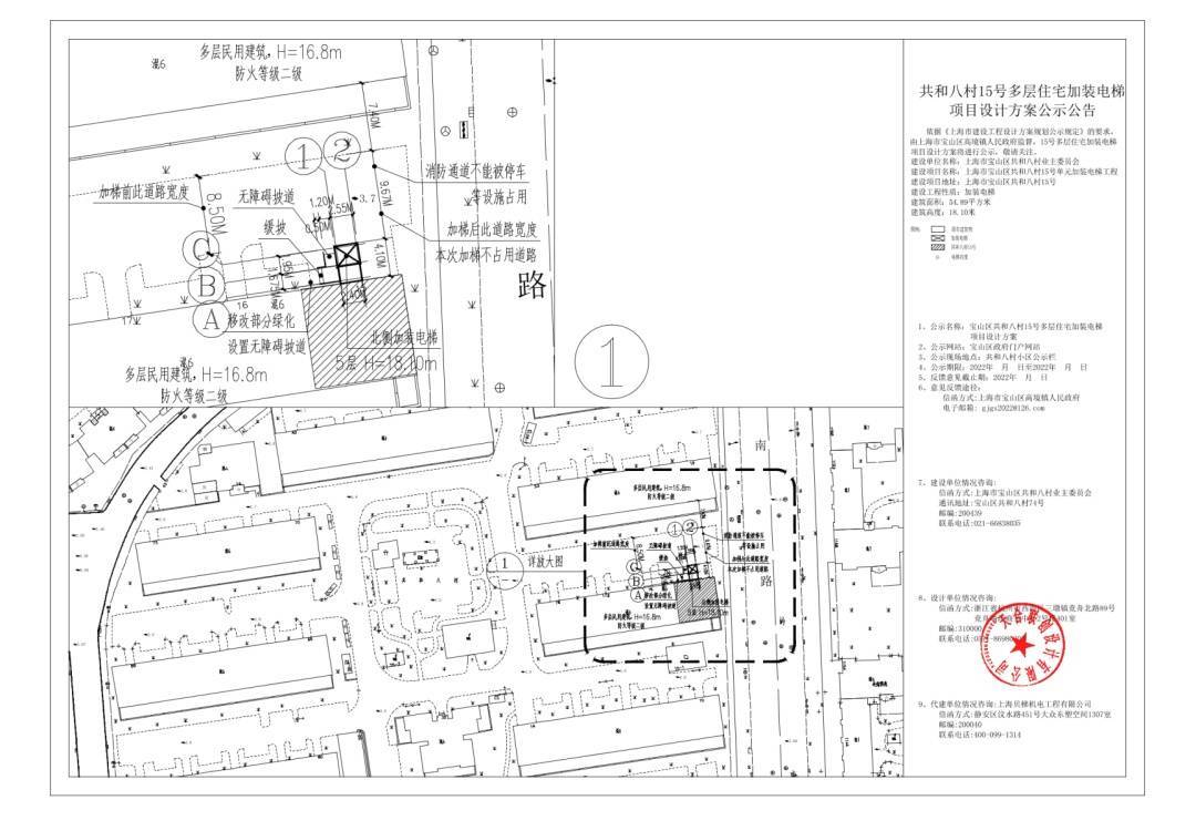
08
共和八村15号多层住宅
加装电梯项目设计方案

公示网站:宝山区政府门户网站
公示现场地点:共和八村公示栏
公示期限:2022年10月27日至2022年11月5日
反馈意见截止期:2022年11月12日
意见反馈途径
上海市宝山区高境镇人民政府
电子邮箱:gjgs2022@126. com (邮件名称、主题中应标明公示名称)
建设单位情况咨询
信函方式:上海市宝山区共和八村业主委员会
通讯方式:上海市宝山区共和八村74号
邮编:200439
联系电话:021-66838035
代建单位情况咨询
上海贝梯机电工程有限公司
信函方式:静安区汶水路451号大众东塑空间1307室
邮编:200040
联系电话:400-099-1314
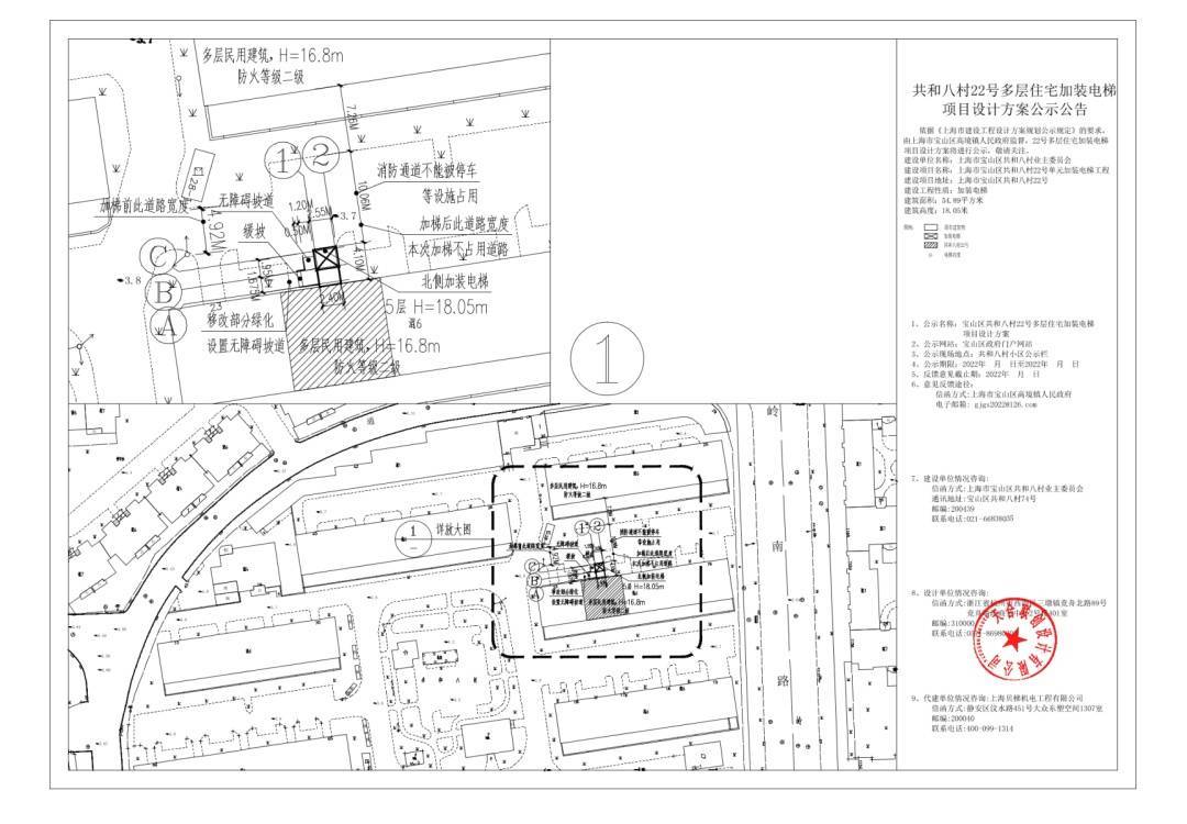
09
共和八村22号多层住宅
加装电梯项目设计方案

公示网站:宝山区政府门户网站
公示现场地点:共和八村公示栏
公示期限:2022年10月27日至2022年11月5日
反馈意见截止期:2022年11月12日
意见反馈途径
上海市宝山区高境镇人民政府
电子邮箱:gjgs2022@126. com (邮件名称、主题中应标明公示名称)
建设单位情况咨询
信函方式:上海市宝山区共和八村业主委员会
通讯方式:上海市宝山区共和八村74号
邮编:200439
联系电话:021-66838035
代建单位情况咨询
上海贝梯机电工程有限公司
信函方式:静安区汶水路451号大众东塑空间1307室
邮编:200040
联系电话:400-099-1314
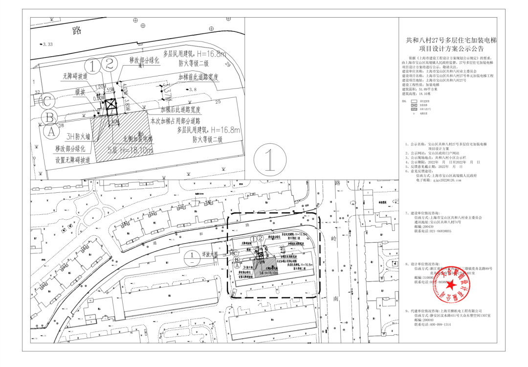
10
共和八村27号多层住宅
加装电梯项目设计方案

公示网站:宝山区政府门户网站
公示现场地点:共和八村公示栏
公示期限:2022年10月27日至2022年11月5日
反馈意见截止期:2022年11月12日
意见反馈途径
上海市宝山区高境镇人民政府
电子邮箱:gjgs2022@126. com (邮件名称、主题中应标明公示名称)
建设单位情况咨询
信函方式:上海市宝山区共和八村业主委员会
通讯方式:上海市宝山区共和八村74号
邮编:200439
联系电话:021-66838035
代建单位情况咨询
上海贝梯机电工程有限公司
信函方式:静安区汶水路451号大众东塑空间1307室
邮编:200040
联系电话:400-099-1314
11
共和八村33号多层住宅
加装电梯项目设计方案

公示网站:宝山区政府门户网站
公示现场地点:共和八村公示栏
公示期限:2022年10月27日至2022年11月5日
反馈意见截止期:2022年11月12日
意见反馈途径
上海市宝山区高境镇人民政府
电子邮箱:gjgs2022@126. com (邮件名称、主题中应标明公示名称)
建设单位情况咨询
信函方式:上海市宝山区共和八村业主委员会
通讯方式:上海市宝山区共和八村74号
邮编:200439
联系电话:021-66838035
代建单位情况咨询
上海贝梯机电工程有限公司
信函方式:静安区汶水路451号大众东塑空间1307室
邮编:200040
联系电话:400-099-1314
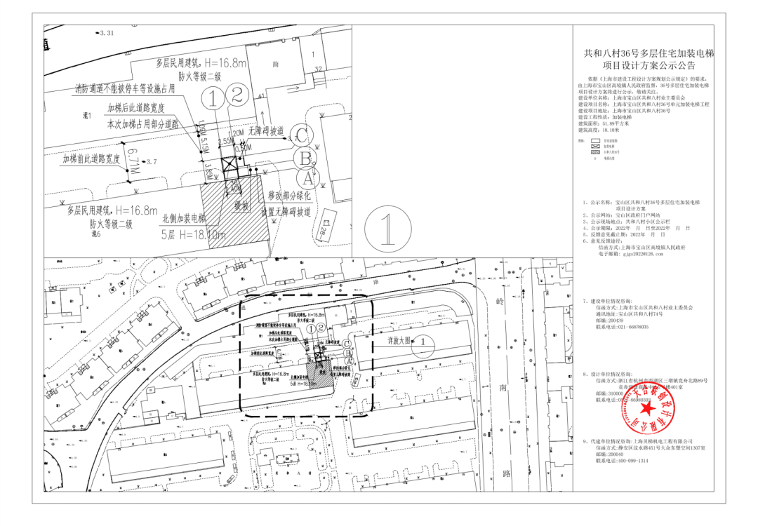
12
共和八村36号多层住宅
加装电梯项目设计方案

公示网站:宝山区政府门户网站
公示现场地点:共和八村公示栏
公示期限:2022年10月27日至2022年11月5日
反馈意见截止期:2022年11月12日
意见反馈途径
上海市宝山区高境镇人民政府
电子邮箱:gjgs2022@126. com (邮件名称、主题中应标明公示名称)
建设单位情况咨询
信函方式:上海市宝山区共和八村业主委员会
通讯方式:上海市宝山区共和八村74号
邮编:200439
联系电话:021-66838035
代建单位情况咨询
上海贝梯机电工程有限公司
信函方式:静安区汶水路451号大众东塑空间1307室
邮编:200040
联系电话:400-099-1314
13
共和八村60号多层住宅
加装电梯项目设计方案

公示网站:宝山区政府门户网站
公示现场地点:共和八村公示栏
公示期限:2022年10月27日至2022年11月5日
反馈意见截止期:2022年11月12日
意见反馈途径
上海市宝山区高境镇人民政府
电子邮箱:gjgs2022@126. com (邮件名称、主题中应标明公示名称)
建设单位情况咨询
信函方式:上海市宝山区共和八村业主委员会
通讯方式:上海市宝山区共和八村74号
邮编:200439
联系电话:021-66838035
代建单位情况咨询
上海贝梯机电工程有限公司
信函方式:静安区汶水路451号大众东塑空间1307室
邮编:200040
联系电话:400-099-1314
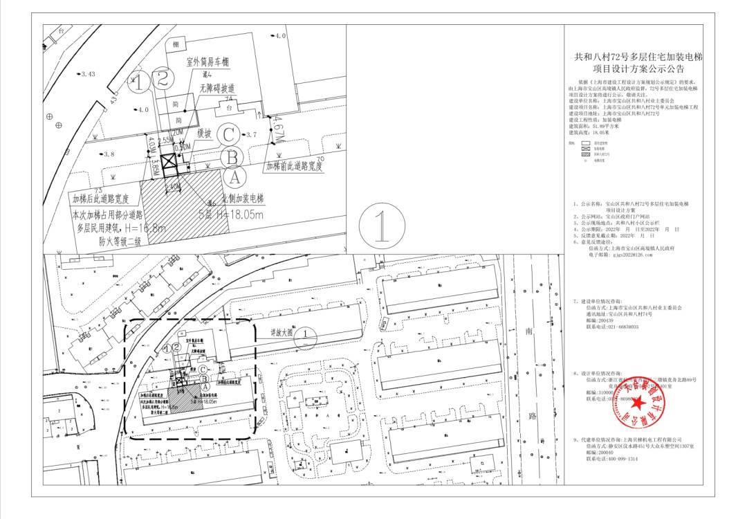
14
共和八村72号多层住宅
加装电梯项目设计方案

公示网站:宝山区政府门户网站
公示现场地点:共和八村公示栏
公示期限:2022年10月27日至2022年11月5日
反馈意见截止期:2022年11月12日
意见反馈途径
上海市宝山区高境镇人民政府
电子邮箱:gjgs2022@126. com (邮件名称、主题中应标明公示名称)
建设单位情况咨询
信函方式:上海市宝山区共和八村业主委员会
通讯方式:上海市宝山区共和八村74号
邮编:200439
联系电话:021-66838035
代建单位情况咨询
上海贝梯机电工程有限公司
信函方式:静安区汶水路451号大众东塑空间1307室
邮编:200040
联系电话:400-099-1314
来源:上海宝山官方微信


评论