【今日楼市看点】
1、金基璟樾府昨日(2月23日)领1号楼销许,116套房源(人才房35套,无房35套),主力户型建筑面积约143㎡,全装修销许均价45805元/㎡,另有5450元/㎡升级装修包,首付5成,验资314万元。
2、琥珀云台昨天(2月23日)领1号楼销许,共68套全装修房源(人才房14套,无住房21套),户型建面约125、135㎡,销许均价约47064元/㎡,另有升级装修包4100元/㎡,验资169万元。
3、城东仙林中板块纯新盘——美都·星屿熹户型图首曝光!打造建面约75、83、89㎡户型,仙林中、地铁口、仙外旁、金鹰圈,总价仅约220万-280万,对于今年想在南京安家的刚需买房人来说非常友好。
01、首付5成,验资314万!金基豪宅116套房源马上开!
金基璟樾府昨日(2月23日)领1号楼销许,116套房源(人才房35套,无房35套),主力户型建筑面积约143㎡,全装修销许均价45805元/㎡,另有5450元/㎡升级装修包,首付5成,验资314万元。
摇号报名时间:2月24日上午9:00-2月25日上午9:00;
报名方式为关注微信公众号:南京房地产微政务,点击“房帮宁-买房报名-宁小通-商品房报名”进入报名通道进行线上报名。

项目地处城东老城区,为了与板块文化相融合,售楼处大门两侧种植了梧桐树,约10米的紫铜大门非常大气,西侧的礼仪子墙,采用的是原石开采而成的东湖石石材,品质可见一斑。

璟樾府整个实景展示区共约3600㎡,包含迎宾水院、隐桥浮行,泉幽庭、石溪谷、潜山青森林......

目前,璟樾府的会所是目前所有金基楼盘中,面积最大的一个,包含恒温泳池、健身房、行政酒廊、大师茶室、会客厅等配套设施。




根据规划,项目拟建11栋26-30F住宅,其功能为二类住宅用地,其中8#楼为租赁用房,其余楼栋正常对外出售。

楼盘外立面采用大面干挂铝板+大面积的玻璃窗,整体给人沉稳大气之感。而且窗墙比超大!
璟樾府做到了南向约0.46-0.48窗墙比,甚至北向窗墙比都做到了约0.26-0.30,南北窗户都是三玻两腔系统窗。

实体样板间是面积约196㎡四房三卫,双阳台设计,三间卧室朝南,主卧双台盆设计,另外一个南向次卧也带有独立衣帽间和卫生间,值得一提的是,三个卫生间全是明卫。
整个南向有约19米开间,约10米的跑道阳台,将采光和通风做到了最佳!



约195㎡户型有6个大飘窗,约7㎡面积都是不计入产权的,直接多出一个书房的面积。

主卧卫生间采用国际一线品牌,配置了汉斯格雅恒温花洒,全部采用暗装墙出的五金件配置,全南京少见。

除此之外,项目还将打造建面约 143㎡四房三卫和建面约172㎡四房两卫。
建面约143㎡四房三卫:大横厅设计,三开间朝南,主卧套房设计,保证了私密性,厨房带有岛台。

建面约172㎡四房两卫:双阳台设计,三间卧室朝南,南向次卧带有衣帽间,主卧卫生间双台盆设计。

目前板块内的品质新房是银城东岳府,该小区挂牌均价约52157元/㎡,最新成交均价约5万/㎡,是去年9月成交一套面积约125.14㎡四室两厅。
但目前区域内新房均价约4.7/㎡左右,算上精装包大概在5万/㎡出头,一二手房市场并无明显倒挂。


新房市场,周围有南京云上、玖樾印象、钟山峰景在售,均价在4.4-5.4万/㎡,升级装修包在3300-3500元/㎡之间。
南京云上:在售低密住宅B-1、B-2号楼,户型建面约90-170㎡,主力户型建面约96、113、117、144㎡,精装均价44980-54094元/㎡。
玖樾印象:主力在售1、2、5、6、7、8号楼,户型建面约130、143㎡及少量底跃,全装修均价46883-48346元/㎡,另有升级装修包标准为3300元/㎡。
钟山峰景: 在售2-10、14号楼,主力户型建面约118、128、143、170㎡,全装修,均价约47000元/㎡,另有3500元/㎡的升级装修包可选,首付3成起。
02、验资169万,大校场68套房源正在报名!
琥珀云台昨天(2月23日)领1号楼销许,共68套全装修房源(人才房14套,无住房21套),户型建面约125、135㎡,销许均价约47064元/㎡,另有升级装修包4100元/㎡,验资169万元。
报名时间:2月24日上午9:00-2月25日上午9:00;
报名方式:报名人可通过关注公众号:南京房地产微政务,点击“房帮宁-买房报名-宁小通-商品房报名”进入报名通道进行线上报名。

值得一提的是,本次为项目的收官加推,此前项目共加推过4次,共304套房源,截止发稿,项目累计认购+成交208套房源,去化近7成。

该项目位于秦淮区南部新城西南部,属于大校场机场跑道真正核芯轴。东至汇景西路,南至特色街巷,西至特色街巷,北至校场大道。地块东侧隔汇景西路为在建幼儿园、初中用地,隔机场河有规划有轨电车。区位地段优势不可复制,享有南京主城顶配资源。

交通:6条地铁,距离地铁3号线大明路站约600米,同时靠近在建6号线夹岗站地铁口;
商业:复地活力广场、明发城市广场、红星美凯龙、宜家家居广场、紫荆广场、万象都荟以及南部新城后期约220万方以时尚消费为主的综合商贸区;
医疗:南京市中医院、银城健康产业园、南部新城医疗中心、南京市第一医院、军区总院等,医疗资源极其丰富;
教育:在南京外国语学校明远小学施教区内;
文化:靠近中国第二历史档案馆、 中芬合作交流中心 、南京博物馆故宫院、 江苏省文化艺术中心等文化地标;
生态:机场跑道公园 、七桥瓮生态湿地公园 、神机营文化公园等 。

在装修品质上,项目全屋采用三恒科技系统,包含地缘热泵、兰舍新风,配备狄耐克的智能化集成面板,以及四大控制方式:智能开关面板+数字智能终端+手机APP+智能语音机器人。
在装修品牌上,厨房采用博世、博洛尼等高端品牌的油烟机、橱柜、洗碗机等,在厨卫上采用史密斯、精卫等一线大牌,品质和颜值双双在线。项目本次加推的两款户型分别为125、135㎡。
建面约125㎡户型:大横厅设计,仅68套,U型厨房,餐客厅一体,主卧套房设计。
建面约135㎡户型:约104套小高层房源,大横厅+超大宽景阳台,尺度感空间感强,三开间朝南,卫生间干湿三分离。
03、户型75㎡起!汇通路纯新盘户型图曝光!上车门槛低!
城东仙林中板块纯新盘——美都·星屿熹户型图首曝光!打造建面约75、83、89㎡户型,仙林中、地铁口、仙外旁、金鹰圈,总价仅约220万-280万,对于今年想在南京安家的刚需买房人来说非常友好。
据悉项目将打造建筑面积约75㎡(2+1房)、89㎡(LDK时尚3房),总价段约220万-280万。
虽然总价不高,但项目品质保证并未放松,产品力超级能打。

建筑面积约75㎡A2户型:这款建筑面积约75㎡户型,做到了2+1房2厅1卫的格局,餐客厅一体化设计,连接南向阳台,约2.4*3.7米的超大南向阳台,这款2+1房户型,既满足了功能的需求,在总价上也比较可控。
建筑面积约83㎡A1户型:这款建筑面积约83㎡户型,同样做到了2+1房2厅1卫的格局;相较于75㎡的户型,客厅更宽敞一些;南北卧室都带有飘窗设置。
建筑面积约89㎡B4户型:这款建筑面积约89㎡户型,做到了3房2厅1卫的格局。整体较为方正,三开间朝南,南向双阳台设计,LDKB一体化,开放式厨房。
建筑面积约89㎡C户型:建筑面积约89㎡的3房2厅2卫户型,三开间朝南,餐客厅一体直接连通阳台,独立双卫。
据悉,项目立面采用仿石材一体板搭配大面积玻璃窗,极简时尚的室内设计风格,窗墙比较高。在仙林中心内部,这样的外立面已经站在了前沿。
并且不卖升级装修包,从源头上节省买房成本,因此均价相比周边楼盘要便宜!

基础装修交付标准包含了中央空调、地暖、新风三大件,厨房还配备了洗碗、客餐厅地面交付标准也使用了仿石砖,装标品牌均选用了国内外一线品牌。

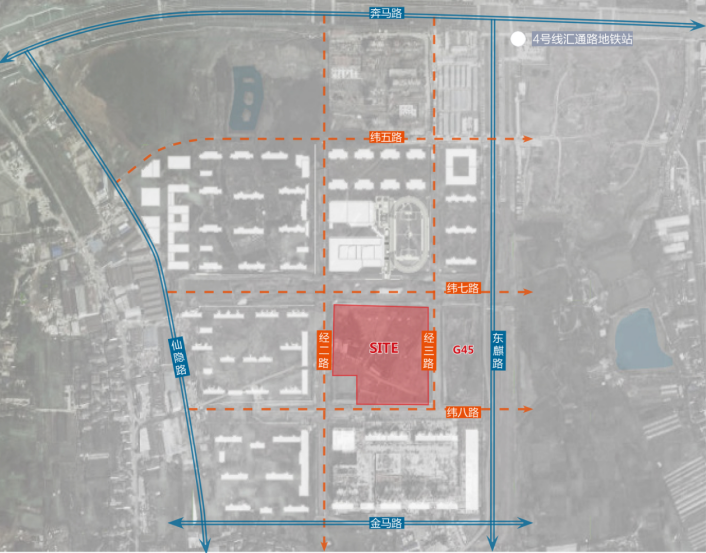
根据规划显示,该地块将拟建8栋高层住宅及相关配套用房。
该地块位于南京市江宁区麒麟街道,东至经三路、南至纬八路、西至经二路、北至纬七路规划用地。
去年7月,仅1轮报价,汇通路G44地块被南京地铁小镇开发建设集团有限公司以底价11亿拿下,成交楼面价约17527元/㎡,毛坯销售限价28500元/㎡。

汇通路可以称得上是一个黑马板块,从板块概念提出至今,目前区域内已聚集了万科、新城、正荣、中南等品牌房企,加之在政府规划下,各项利好不断!
交通上,地铁2号线、4号线与主城绑定,并且项目就在4号线汇通路站地铁口,刚刚确定规划的8号线又实现了城东与城南的联通,交通网络四通八达。
教育方面:项目旁边,规划建设1所4轨12班幼儿园,及1所5轨30班小学。去年6月,南京地铁小镇公司就与南京外国语学校仙林分校、江宁区教育局签订合作办学协议,确认引进了公办南外(包含幼儿园、小学),目前已经正在建设当中。公办南外加持,对标河西南、大校场。
商业方面:项目2公里内可享受到九霄梦天地、金鹰湖滨天地的商业配套;还有在建的苏宁广场、仙林德基广场。而在项目周围,也布局了社区商业:从汇通路地铁口出站即是社区中心,买完菜即可步行回家。

目前,该板块并不缺新房,目前还有2盘待售(南京地铁G44、G45),4盘在售(润岚府、新城振业铭著风华、万科紫辰光年、牡丹大观天下)。
评论